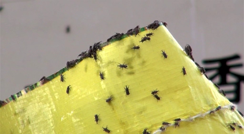
Celníci objevili jídlo prolezlé hmyzem a plísní

Domácí

Další videa

Nastavte si velikost písma, podle vašich preferencí.